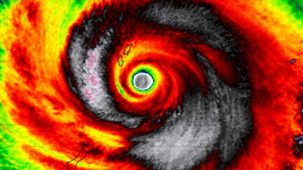
O supertufão Sinlaku, formado no Pacífico Oeste com ventos de até 280 km/h, não ameaça diretamente o Brasil — mas acendeu um alerta entre meteorologistas sobre possíveis impactos no Rio Grande do Sul.
Em nossas apurações, o que mais chamou atenção não foi a trajetória do fenômeno, mas a energia envolvida em sua formação.
O sistema se intensificou rapidamente sobre águas excepcionalmente quentes, um sinal claro de que o oceano está carregado de calor.
🌪️ O que o supertufão revela sobre o clima global?
Supertufões são os ciclones tropicais mais intensos do planeta. O Sinlaku atingiu pressão de 902 hPa — um nível extremamente baixo, típico de tempestades severas.
Quem acompanha o setor sabe: quanto mais quente o oceano, maior o combustível para eventos extremos. E é justamente esse excesso de calor que preocupa.
Águas mais quentes = mais energia na atmosfera
Maior chance de eventos climáticos intensos
Sinal de possível transição para El Niño
🌊 Como isso pode influenciar o Rio Grande do Sul?
O fenômeno observado no Pacífico pode funcionar como um gatilho para o desenvolvimento do El Niño, evento climático que altera o regime de chuvas no Sul do Brasil.
Na prática, o processo começa com o acúmulo de água quente no Pacífico Oeste. Quando os ventos alísios perdem força, esse calor avança em direção ao centro e leste do oceano, criando as condições ideais para o El Niño.
O que vimos na prática foi um oceano mais aquecido do que o normal — um dos principais ingredientes para esse tipo de evento.
📊 Existe risco de um “Super El Niño”?
Modelos internacionais indicam uma probabilidade crescente de El Niño forte entre 2026 e 2027, com chance de atingir níveis raramente observados.
Para ser considerado extremo, o aquecimento do Pacífico precisa ultrapassar 2°C acima da média por um período prolongado.
- 0,5°C a 0,9°C → fraco
- 1,0°C a 1,4°C → moderado
- 1,5°C ou mais → forte
- Acima de 2°C → cenário extremo (“Super El Niño”)
Eventos históricos como 1982, 1997 e 2015 mostram que episódios intensos costumam trazer chuvas acima da média no RS, especialmente na primavera.
⛈️ O que esperar nos próximos meses no RS?
No curto prazo, a tendência ainda é de tempo mais seco e quente. Mas o cenário muda na virada das estações.
A primavera de 2026 entra no radar como período crítico, com possibilidade de:
Chuvas intensas e persistentes
Temporais mais frequentes
Mudanças rápidas de temperatura
Especialistas evitam cravar previsões fechadas, mas admitem: o cenário exige monitoramento constante.
⚡ Resumo Rápido
P: O supertufão vai atingir o Brasil?
R: Não. O impacto é indireto, ligado ao clima global.
P: O que ele indica?
R: Oceano mais quente e condições favoráveis ao El Niño.
P: Quando o RS pode sentir efeitos?
R: Principalmente na primavera de 2026.





















